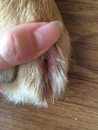
八个月金毛!刚刚一直在舔脚!我仔细一看右后脚丫一小块已经掉毛 而且泛红起皮屑了!前几天刚刚做过体内

八个月金毛!刚刚一直在舔脚!我仔细一看右后脚丫一小块已经掉毛 而且泛红起皮屑了!前几天刚刚做过体内和体外驱虫!怎么办!已经摸了除螨药膏!急!!!
点击展开
匿名用户    2014-09-17 14:38    

满意回答

家里卫生弄好。悟暖脂 消瓣炼毒锅唉 。每天搽药早晚各一次 不要让他舔 。很快就好了

匿名用户   2014-09-17 14:40
宝宝知道提示您:回答为网友贡献,仅供参考。

为您推荐:

其他回答

有时候是换毛 上点点酒就好了

匿名用户    2014-09-17 14:40

去附近医院看看

匿名用户    2014-09-17 14:40

皮癣,看兽医去

匿名用户    2014-09-17 14:39